Land
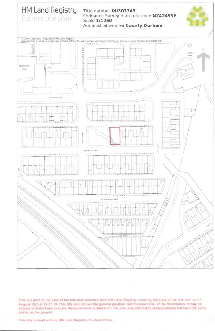
Frederick Street, Seaham , SR7 7HX
£16,500+
Legal Pack
Awaiting legal pack from sellers solicitors - Please enter your details and we will contact you as soon as it becomes available.
An area of freehold open grassed land forming part of the original Frederick Street Terrace and suitable for a variety of uses, subject to planning permission. With an overall site area of 470sqm it has a return frontage to Maria Street, is occupies a highly convenient position close to the Town Centre and sea front facilities.
The land is to be sold as open/ garden land and a Restrictive Covenant will be imposed upon the buyer limiting the use to garden/garage with associated buildings and no commercial use. Future beneficial development may be permitted subject to a formal release of the Restrictive Covenant and payment of the appropriate additional consideration.
Property details provided by Kimmitt & Roberts
EPC rating: N/A
Council Tax Band: N/A
Tenure: Freehold
For Sale By Auction www.agentspropertyauction.com LIVE ONLINE AUCTION 29 January 2026 OPTION 1
Disclaimer 1
The Agents Property Auction have not inspected this property. The property details have been supplied by KR. None of the services have been tested. Measurements, where given, are approximate and for descriptive purposes only. Boundaries cannot be guaranteed and must be checked by solicitors prior to exchanging contracts. The details are provided in good faith, are set out as a general guide only and do not constitute any part of a contract. No member of staff has any authority to make or give representation or warranty in relation to this property.
For sale by auction see www.agentspropertyauction.com
Disclaimer 2
Each auction property is offered at a guide price and is also subject to a reserve price. The guide price is the level where the bidding will commence. The reserve price is the sellers minimum acceptable price at auction and the figure below which the auctioneer cannot sell. The reserve price, which may be up to 10% higher than the guide price, is not disclosed and remains confidential between the seller and the auctioneer. Both the guide price and the reserve price can be subject to change up to and including the day of the auction. The successful buyer pays a £2000+vat (total £2400) Auction Administration Fee. At your request we can refer you to a North East based Solicitor from our panel. It is your decision whether you choose to deal with them, should you decide to use them you should know that we would receive a referral fee of £180 including Vat from them for the recommendation.
Disclaimer 3
A copy of the title is available upon request, we recommend all potential buyers take legal advice, satisfy their requirements on all matters and have finance in place prior to purchase.
Details awaiting vendors approval.
Disclaimer 4
Ofcom website states no broadband download speed at this postcode: SR7 7HX and no mobile coverage.
AGENTS NOTE
The land is to be sold as open/ garden land and a Restrictive Covenant will be imposed upon the buyer limiting the use to garden/garage with associated buildings and no commercial use. Future beneficial development may be permitted subject to a formal release of the Restrictive Covenant and payment of the appropriate additional consideration.
Book a viewing
Register your interest
More properties
See all properties£55,000+ (Guide price)
1 Bedroom Flat - Purpose Built,
Overhill Terrace, Gateshead
1 Bedrooms •1 Bathrooms •1 Receptions
£45,000+ (Guide price)
2 Bedroom House - End Terrace,
Coronation Terrace, Durham
2 Bedrooms •1 Bathrooms •1 Receptions